• 2615阅读
  • 9回复

[义乌楼市]佛堂、廿三里15宗地块挂牌!将有力补足周边生活配套! [复制链接]

上一主题 下一主题
离线网站小宅
 

发帖
235
奖学金
474
威望
2158
微信分享到朋友圈 图酷模式 只看楼主 倒序阅读 腔主  发表于: 2021-02-25
马上注册,结交更多好友,享用更多功能,让你轻松玩转义乌十八腔,更多精彩评论请登录后查看。
  已有账号?点击登录
关闭
今天,浙江省土地使用权网上交易系统挂牌了多宗地块,分属廿三里街道与佛堂镇。


廿三里街道竺阳路与武康路交叉楼东南侧地块


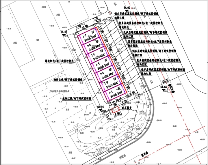
该地块分为8间,位于廿三里街道竺阳路南侧、武康路东侧。基地位于麻车塘北侧,基地周边多为工业区块,生活、教育、医疗配套相对较欠缺,交通便利。


地块控制红线图

从地块控制红线图中可以看到,地块紧邻规划中的麻车塘幼儿园,地块将一致规划建设6层高沿街房屋,其中1层为商业,2层以上为住宅。地下室不得超过一层,层高不得超过4.5米。

商业街的配置,将一定程度上补足地块周边生活配套。

项目效果图

出让时间安排
1.公告时间:2021年2月25日至2021年3月18日
2.报名时间:2021年3月19日至2021年3月26日(竞买保证金交纳截止时间为2021年3月26日下午16:00时)
3.挂牌时间:2021年3月19日至2021年3月29日

佛堂镇朝阳东路西侧、禅花路北侧地块



地块共分为7间,位于佛堂镇朝阳东路西侧、禅花路北侧。地块形状较为规整,周边为工业区,多厂房,东侧为规划义乌佛堂镇剡溪邻里中心,交通便利。

剡溪邻里中心鸟瞰图

地块控制红线图

根据沿街建筑布局的特点,地块在规划上沿朝阳东路布置1幢共14间房屋,布置12米进深商铺。结合周边建筑风格特点,地块建设选取现代风格,以五层居多,局部布置6层。


地块效果图


建筑将采用真石漆仿石材高级涂料,一层局部采用干挂石材,铝合金窗、条格栅采用深色金属烤漆。

出让时间安排
1.公告时间:2021年2月25日至2021年3月18日
2.报名时间:2021年3月19日至2021年3月26日(竞买保证金交纳截止时间为2021年3月26日下午16:00时)
3.挂牌时间:2021年3月19日至2021年3月29日


整理:义乌房子网
编辑:网站小宅

加房小白微信
陪你畅谈义乌楼市、解决买房大小事



2条评分威望+2
王生华 威望 +1 - 2021-03-10
无情谷 威望 +1 - 2021-02-25
特别声明:帖子及回帖全部内容为论坛用户自行上传发布并承担相应的法律责任,不代表本网站观点和立场,本网站仅提供信息存储服务。任何用户如认为页面上的特定内容涉及侵权,可通过页面底部侵权投诉指引向我们进行投诉。
本帖共有9条回复,请登录后查看。
  已有账号?点击登录
快速回复
限100 字节
批量上传需要先选择文件,再选择上传